5月13日白天,我国南方多省以及河南省晴空中,太阳四周出现了一个圆形的大光圈,尤其是在湖北武汉,安徽合肥等地,光圈巨大圆润,持续时间很长,而且从内到外呈现彩虹般的七彩色。这是一种正常的大气光学现象,学名叫日晕。
来自中气爱摄影群向横
日晕的发生需要三个条件,首先需要一个太阳,其次需要天空中有大量微小冰晶组成的高层卷云,这些微小冰晶变成了漫天的棱镜,来折射反射太阳光,第三在高层卷云发达的同时,低层还不能其他云系,保证阳光能照射到地面。
来自中气爱摄影群Sam Sentshi
很显然,5月13日的长江流域和淮河流域,就具备这种条件。因为一方面,这里的低空,还是5月12日北方冷涡甩下来的偏北风,因此空气干燥,没有其他厚云来阻挡阳光。
来自b站平戸幸墨
但另一方面,孟加拉湾气旋性风暴摩卡正在快速发展,它的高空针状云系被西风急流拉扯,形成了一道长发飘飘,穿越北印度洋、孟加拉国、缅甸和我国南方,直通太平洋的漫长云带。这个云带刚刚抵达长江流域、淮河流域时,还是以卷云为主,高空冰晶为主,因此和太阳、低空北风打了个完美的配合,制造了大范围的日晕。
来自b站镇岳丨尚方
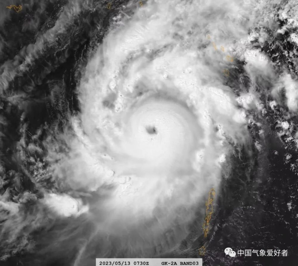
而这些日晕,也是摩卡即将大规模影响我国的前兆。因为摩卡并不是一个普通的风暴,它是体型庞大,强度极强的风暴,是即将开启西南季风爆发的风暴,也是一个要在江南刮风下雨的风暴。5月13日下午,摩卡已经开出清晰的风眼,达到超强台风级别,中心附近最大风力有16级。
它还将继续发展,在13日夜间和14日早晨加强到17级以上,随后登陆缅甸和孟加拉国交界处。随后,摩卡的底层旋转中心将被缅甸高山截留,在原地释放所有能量消散;但高层中心将跨过一座座山川进入我国。
5月13日起,云南就要降温降雨,5月15日起,贵州、重庆、湖南、湖北、江西、安徽、江浙沪、福建以及广东广西北部也要先后刮风下雨,其中5月17日前后,江浙沪的大风大雨还真的很像弱台风登陆,请大家要提前做好准备。
不过,正在下雨的广东、广西和海南,这雨和摩卡没什么关系,这雨是台风胚胎带来的。5月13日的卫星云图可见,一个很微弱但很顽强的小漩涡正在海南岛附近旋转,它就是在经历副高重压、摩卡抢水和冷空气入侵等多重不利因素后,还顽强生存,并给海南带来大暴雨的台风胚胎93W。不过,随着摩卡的环流赶到,5月15日起93W将彻底消散,华南将重回正常的炎热天气。
313啦实用网



